family CERAMBYCIDAE Latreille, 1802
subfamily CERAMBYCINAE Latreille, 1802
tribe Clytini Mulsant, 1839
genus Clytus Laicharting, 1784
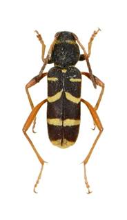
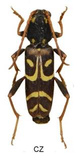
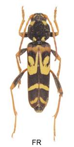
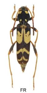
Clytus arietis arietis (Linnaeus, 1758)
subgenus Clytus Laicharting, 1784





Velikost 6-16 mm.
Bionomie. Listnaté lesy, parky, zahrady. Vývoj larev pod kůrou odumřelého dřeva různých listnatých stromů. Ve větvích od průměru 2 cm a v kmíncích, nalezl jsem ho i v plotě, vyrobeném z neodkorněných topolových prkének. Často i v odumírajících větvích napadených krasci rodu Coraebus sp. Larva žije zpočátku pod kůrou a později vstupuje do dřeva, kde pokračuje v žíru a kde se také kuklí. Připravený výletový otvor je ucpán jemnou drtí. Přezimuje jako larva. Demelt (1966) uvádí hloubku poškození dřeva až 10 cm a dvouletý vývoj. Já jsem zjistil dvouletý i tříletý a za nevhodných podmínek v suchém dřevu až pětiletý vývoj. - Imaga se vyskytují od V. do VIII. na dříví, na zemi ležících větvích a různých květech, např. Crataegus, Apiaceae aj.
Živné rostliny - Quercus, Fagus, Carpinus, Robinia pseudoakacia, Salix, Salix caprea, Ulmus, Prunus, Malus, Populus, Vitis; Cornus mas; Juglans, Sarothamnus, dále Betula, Castanea, Pyrus, Euonymus, Tilia, Acer, Crataegus.
Variabilita. Žlutě zbarvené pásky jsou někdy redukovány, nebo velmi vzácně se rozšiřují nebo spojují. Variabilní je také barva stehen.
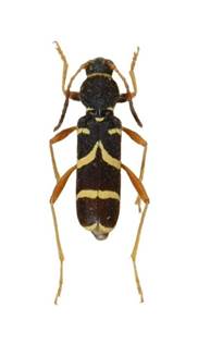
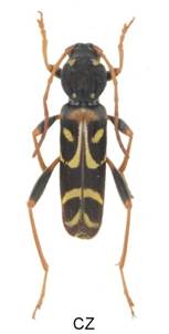
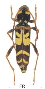
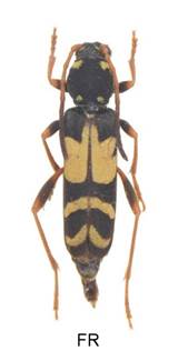
Clytus lama Mulsant, 1847
subgenus Clytus Laicharting, 1784



Velikost 6-15 mm.
Bionomie. Jehličnaté lesy, paseky. Vývoj zprvu pod kůrou a později ve dřevě odumírajících jehličnatých dřevin. Napadá především stojící stromy o průměru 10 - 25 cm do hloubky 2 cm, zřídka až 5 cm. Není mi známo napadení pokáceného dřeva. Larva vyhlodává pod kůrou nepravidelné i poměrně přímé chodby a pak vstupuje do dřeva, kde pokračuje v žíru do hloubky 2-3 cm. Výstupní otvor z kukelní komůrky je ucpán jemnými pilinami. Přezimuje jako larva. Vývoj se uvádí jednoletý i dvouletý, já jsem zjistil nejméně dvouletý. - Imaga se vyskytují od VI. do VIII., maximum VII. na dříví a různých květech, zejména Apiaceae.
Živné rostliny - Přednostně Abies, dále Picea, zřídka Pinus. Larix.
Variabilita. Poměrně málo variabilní druh. Velmi vzácně chybí žluté pásky a vzácně bývají stehna nohou světlá.
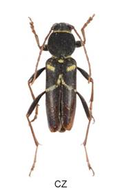
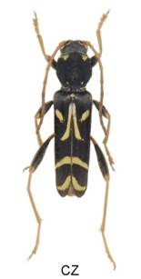
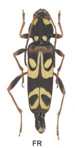
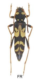
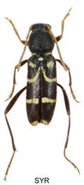
Clytus tropicus (Panzer, 1795)
subgenus Clytus Laicharting, 1784












Velikost 9-20 mm.
Bionomie. Zachovalé, přírodně bohaté listnaté lesy. Samička klade vajíčka do kmenů a větví oslabených, nebo čerstvě odumírajících stojících stromů, nikdy jsem nezjistil napadení pokáceného ležícího dřeva. Larvy si vyhlodávají dlouhé, převážně přímější nespletité chodby na rozhraní kůry a bělové části dřeva. Délka chodeb pod kůrou dosahuje 50 - 80 cm. Ke konci vývoje vstupují pozvolna do dřeva, kde si po žíru cca 10 - 25 cm vyhloubí kukelní komůrku a připraví výletový otvor, který je v povrchové vrstvě dřeva ucpán jemnými pilinami. Při silnější kůře nemusí larva vstupovat do dřeva a může dojít ke kuklení v kůře nebo pod kůrou. U starších stromů jsou napadány především větve, u mladších i kmeny a to již nízko nad zemí. Samička klade vajíčka pouze do stojících, čerstvě odumírajících nebo oslabených stromů na slunci i ve stínu v hustě zapojených porostech. Převážně dvouletý vývoj jsem zjistil ve dřevě silném 15-25 cm, ale také až přes 100 cm. Přezimuje jako larva. - Imaga se vyskytují od V. do VII., maximum v polovině VI. Spíše soumračný a noční druh, imaga jsou přes den ukryta ve štěrbinách kůry apod., výjimečně pobíhají po kůře nebo létají. Nejdou na květy.
Živné rostliny - Vývoj jsem zjistil pouze v Quercus, bývají udávány ještě Pyrus a Prunus.
Variabilita. Poměrně častá je redukce žlutých pásek na krovkách, u imag ze západu areálu zase jejich rozšiřování až scelování.
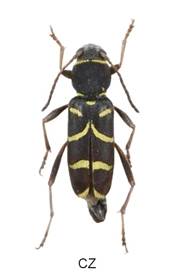
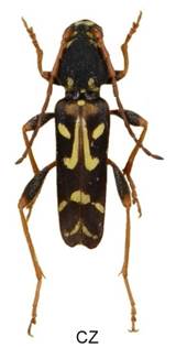
Clytus rhamni Germar, 1817
subgenus Clytus Laicharting, 1784
Clytus rhamni rhamni Germar, 1817

Clytus rhamni temesiensis (Germar, 1824)



Clytus rhamni belieri Gautier des Cottes, 1862

Nominální forma se vyskytuje ve východní oblasti. V západní Evropě je to ssp. bellieri Gautier, 1862 a ve střední ssp. temesiensis Germar, 1824. Většinou vzácný druh, v teplejších oblastech hojný.
Velikost 5-12 mm.
Bionomie. Listnaté smíšené porosty, lesostepi, ovocné sady, teplá místa spíše stepního charakteru. Vývoj v odumřelém dřevě různých listnatých dřevin. Obvykle byl vychován náhodou, a proto je o jeho vývoji málo známo. - Imaga se vyskytují poměrně dlouhou dobu na stejných lokalitách, od prvé poloviny V. do poloviny VII., maximum VI., na různých květech, zejména Achilea, Apiaceae, Rosa apod.
Živné rostliny - Quercus, Vitis, Loranthus; udává se též Prunus, Robinia, Ulmus, Castanea, Crataegus, Cytisus, Ficus, Fraxinus ornus aj.
Variabilita. Značně odlišné jsou uváděné všechny tři poddruhy.
Clytus arietis arietis Linnaeus, 1758 CZ Populus

Clytus lama Mulsant, 1847 CZ Abies




Clytus tropicus Panzer, 1795 CZ Quercus

